By Ikugbadi Oluwasegun
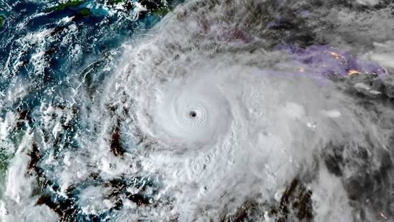
Federal Government has expressed deep sympathy and solidarity with Cuba, Haiti, and Jamaica following the catastrophic impact of Hurricane Melissa.

This was disclosed in a statement by the Ministry of Foreign Affairs, which described the emerging reports of widespread destruction, flooding, and loss of life as heart-wrenching.
The government however commended the courageous efforts of national emergency response teams in the affected countries.
Nigeria condoled the families of the victims and wished a speedy recovery to the injured. In the spirit of South-South cooperation, Nigeria called on the international community to provide all necessary assistance for the urgent recovery and rebuilding efforts.
Nigerian Government further extended its prayers for the people and governments of the affected nations.